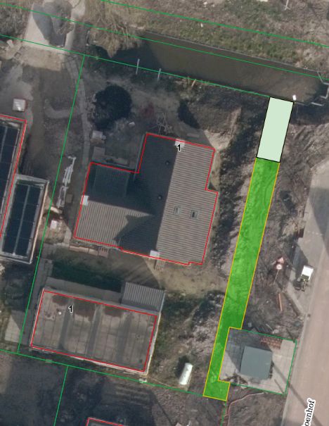
Bekendmaking van voornemen tot verkoop van gemeentelijk onroerend goed - nabij Julianaweg 1 Hensbroek
De gemeente Koggenland is voornemens om nabij Julianaweg 1 Hensbroek te verkopen:
een strook grond, perceel kadastraal bekend gemeente Obdam sectie G nummer 2318, gedeeltelijk, ter grootte van circa 66 m².
Op deze pagina vindt u de uitleg (motivering) door de gemeente over dit voornemen, hoe u bezwaar kunt maken als u het er niet mee eens bent (vervaltermijn en bezwaar maken), meer informatie en de wetgeving.
